门诊时间:早上8:00—12:00,下午14:00—17:30(冬季);早上8:00—12:00,下午14:30—18:00(夏季)(节假日无休)

点击右侧按钮获取二维码

    院务公开

    【同德内分泌罕见疑难病例速递第三期】低血磷性骨软化症一例

    发布日期:2019-09-03

    来源:

    一、简要病史:

           患者马某某,住院号,102827,女,50岁,主因“全身多处骨痛4年”入院。2016年11月就诊于运城A医院,给予中药、针灸、拔罐等治疗,效果不佳。2017年7月西安红十字会医院给予腰椎内固定手术治疗。2019年1月6日因全身骨痛明显加重,卧床长达7个月,不能翻身,日常生活明显受限再次入住运城A医院,诊断为“神经痛、全身疼痛、多发性骨髓瘤?肿瘤骨转移?”给予营养神经,对症止痛治疗。2019年1月20日入住运城B医院,诊断为“代谢性骨病、严重骨质疏松症、右侧股骨颈病理性骨折、左侧耻骨上下支骨折”,行右侧全髋关节置换术。术后3月全身骨痛无明显缓解,为明确诊治7月15日入住我院内分泌骨质疏松科。 
     
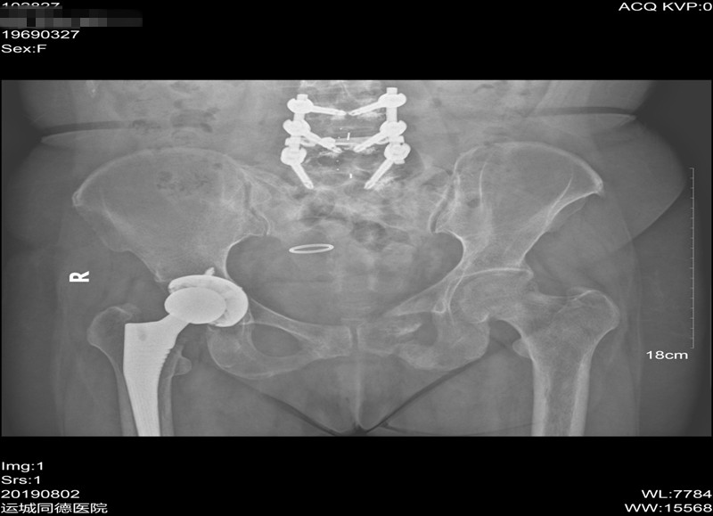
    辅助检查:我院全身ECT骨显像+断层:双侧多根肋骨、第7、8、10、11、12胸椎、第1腰椎、左侧耻骨支、坐骨支、耻骨联合、双侧肩关节、肘关节、腕关节、骶髂关节、髋关节、踝关节可见多处放射性浓聚CT定位相可见多处肋骨、肋软骨连接处假骨折。胸腰椎正侧位片示:胸腰段骨质密度减低,骨皮质变薄或皮质线不连续,腰3-5椎体术后改变。骨盆前后位片示:左侧耻骨上下肢骨折,左股骨干上缘外侧皮质刀割样假骨折,右髋关节置换术后改变,腰椎内固定术后改变,右侧耻骨下支骨折。双髋关节CT示:左侧耻骨上下支骨折畸形愈合,右侧耻骨下支骨折,骶骨、左侧股骨颈陈旧骨折改变,右髋关节置换术后改变。曾行全身PET未发现肿瘤。
     
    ▼ 双髋关节位片:
     
    ▼ 骨盆前后位片:
     
     
    ▼ 本院全身骨显像+断层: 
     
     
     
    ▼ 腰椎侧位片:
     
     
           化验室检查:血碱性磷酸酶356U/L(35-104)、谷氨酰转肽酶GGT289U/L(参考值7-45);总钙2.18mmol/L(参考值2.15-2.55)、磷0.61mmol/L(参考值0.81-1.45),镁0.83mmol/L(参考值0.66-1.07)、钙磷乘积16.48(参考值30-40);甲状旁腺激素:65.2pg/ml(参考值15-65);TP1NP166.1ng/ml(参考值15.13-58.59)β-CTX 0.456(参考值0.068-0.68);尿钙3.84mmol/24h(参考值2.5-7.5)、尿磷10.36mmol/24h(参考值13-44);25羟维生素D 18.86ng/ml(参考值≥30 ng/ml);血清抗酒石酸酸性磷酸酶5b 2.9 U/L(参考值≤4.02U/L);骨源性碱性磷酸酶150U/L(参考值≤100U/L);人护骨素:297.4;尿本周氏蛋白定性:阴性。
     
    二、病例特点:

            中年女性,病程4年,表现为进行性全身骨痛,活动障碍,多处骨折,胸腰椎皮质菲薄或皮质线不连续,左股骨干上缘外侧皮质可见刀割样假骨折。低血磷,血钙基本正常,钙磷乘积显著低下,成骨活跃,碱性磷酸酶明显增高,PTH偏高,25羟维生素D缺乏。 

    三、 诊断:
     
    低血磷性骨软化症。

    ▼ 低血磷性骨软化症诊断思路(北京协和医院夏维波教授总结图):
     
     
     
    四、治疗方案:
     
    1、补充钙剂、维生素D;
    2、补磷:中性磷酸盐口服液;
    3、缓解骨痛。

    诊疗体会:
           低磷性骨软化症是由于低血磷及维生素D缺乏造成骨矿化障碍为主的代谢性骨病,多表现为肌痛、骨痛、骨折和假骨折。 
           
           病因:1.X-连锁低血磷骨软化症(XLH):其机制为磷调节基因(PHEX)突变,成纤维生长因子23(FGF-23)降解减少,FGF-23 增多,导致排磷增加。2.常染色体显性遗传性低血磷骨软化症(ADHR):机制为FGF-23 基因突变,对降解酶抵抗, FGF-23增多,导致排磷增加。3.肿瘤相关性低血磷骨软化症(TIO):肿瘤异位分泌过多的FGF-23 ,导致排磷增加。4.其它原因:如范可尼综合征,维生素D缺乏,磷缺乏等。 

           治疗:对因治疗是关键,如果是肿瘤导致的低磷性骨软化症,切除肿瘤后即可治愈。其他原因所致的低磷性骨软化症,使用活性维生素D及中性磷酸盐等经典药物治疗。治疗过程需进行评价和监测:每3~6个月于服中性磷后60~90分钟监测血清钙、磷、ALP、肌酐及PTH水平;每6个月监测1次尿钙/肌酐比值或24小时尿钙,记录骨痛及身高等情况;每1~2年进行1次肾脏超声检查;怀疑肿瘤者每1~2年进行1次奥曲肽显像检查。鉴于FGF23在各种类型低血磷性骨软化症的发病机制中均发挥了重要作用,故针对肿瘤无法切除的及遗传性低磷性骨软化症患者,未来FGF23靶向治疗有望从根本上解决FGF23相关的低磷血症。针对FGF23的靶向治疗药物可分为减少FGF23生成和中和FGF23作用两大类,前者主要包括西那卡塞、降钙素及6D精氨酸,后者主要包括FGF23羧基端片段和FGF23抗体。

           总之,本病少见,易与其他疾病混淆,易被误诊。对以肌痛、骨痛、骨折或假骨折为主要表现且皮质骨受累的患者,需结合血钙、磷、ALP、PTH、骨转换标志物等,尤其对于有低血磷,高碱性磷酸酶,低钙磷乘积患者应考虑本病。全面影像学检查如奥曲肽显像等排除肿瘤存在,也可开展致病基因如PHEX、FGF-23等突变筛查,确诊本病后,予以中性磷口服液和活血维生素D治疗,可显著改善患者活动功能和缓解骨痛。

    关注我们

    地址:山西省运城市盐湖区红旗东街4388号 邮编:044000

    联系电话:0359-2066873 网址:www.yctdyy.com

    e-mail:ycstdyy@163.com

    晋ICP备15008538号-1

    晋公网安备 14080202000127号

    扫码挂号

    联系我们

    运城同德医院

    院办电话:0359-2066873

    招聘电话:0359-2613680

    挂号预约:0359-2613581

    医保、慢病报销: 0359-2613401

    药品咨询:0359-2613530

    体检电话:0359-2580998,15203598831